📰
آرشیو اخبار - صفحه 47
مقایسه جامع PES 2018 با FIFA 18: کدام بازی برای شما بهتر است؟
امروزه در دنیای فوتبال ما شاهد رقابتی جذاب بین رونالدو و مسی هستیم . و همین رقابت باعث جذابیت هر چه بیشتر دنیای فوتبال و باعث پیشرفت هر دو طرف شده است .
آموزش کامل بهروزرسانی اپلیکیشنها در لینوکس (دستورات کاربردی)
سیستمعامل لینوکس دارای قابلیتهای متنوعی میباشد. برای مثال در این سیستمعامل شما میتوانید تمامی برنامههایی را که نصب کردهاید، بهصورت یکجا بهروزرسانی کنید.
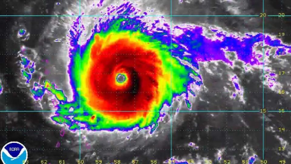
تماشاییترین تصاویر نجومی هفته از طوفانها تا فضاپیمای کاسینی
هرچه به ماوراء بیشتر نظاره می کنیم، هرچه در عمق کائنات بیشتر غرق می شویم و هرچه به زیبایی های هستی بیشتر توجه می کنیم، عطش و تلاشمان برای فهم رموز و اسرار جهان بیشتر می شود.








